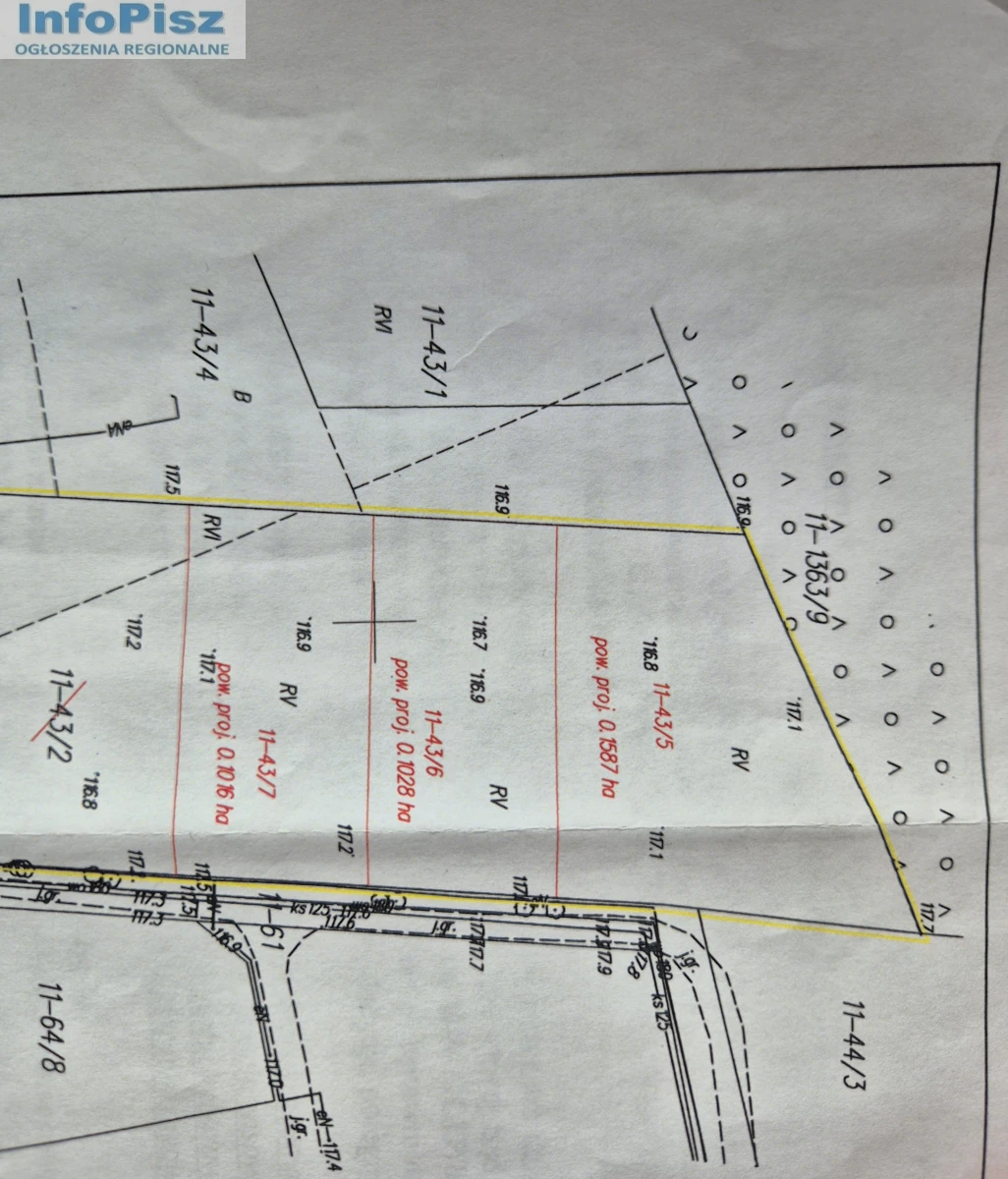
Pow. 0.1587h cena 150tys.
Działka numer 43/6
Pow. 0.1028h cena 120tys
Działka numer 43/7
Pow. 0.1016h cena 120tys.
Prąd, woda i kanalizacja znajduję się w drodze gminnej przy działkach.
Lokalizacja wieś Jeglin obok miasta Pisz.

